조황
제주에이스호!!(3월14일)럭비갑이조황입니다010 35483472~010 3860 3472{9.77톤22인승14석운)청결은보장
- 에이스호
- 댓글 0
- 조회 183
- 26-03-15 11:49
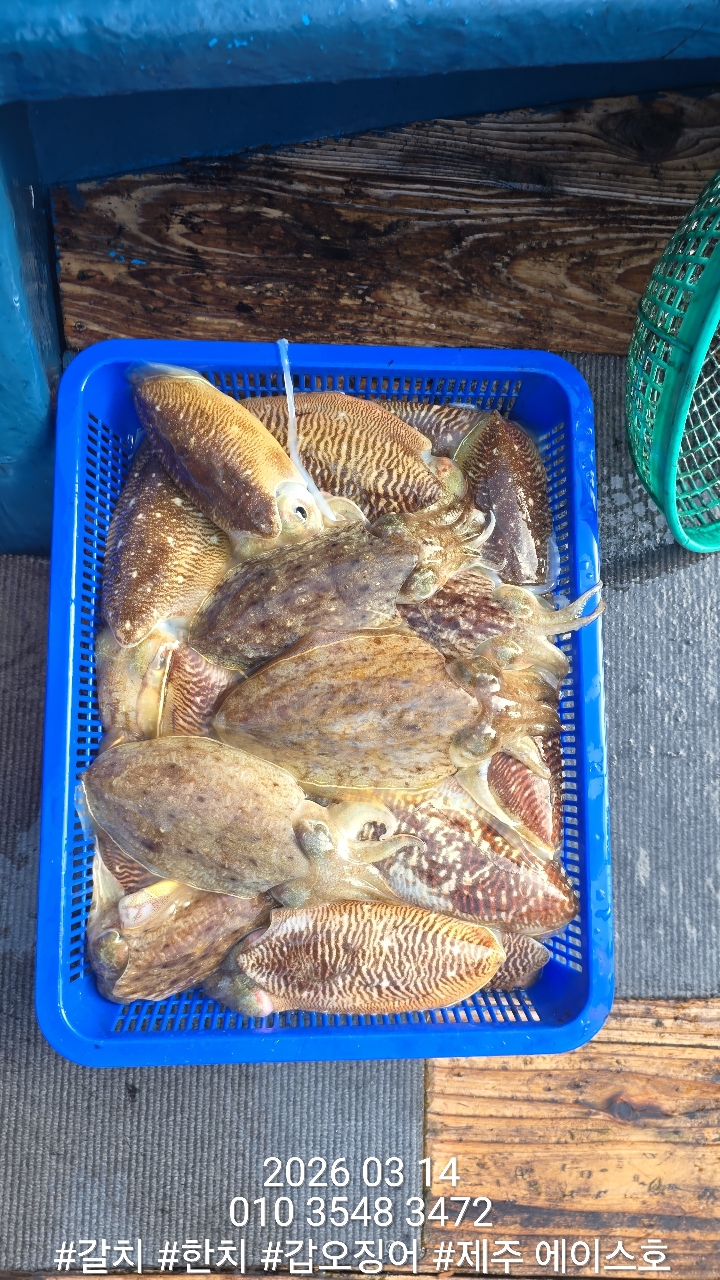
하루쉬고 다녀왔습니다..
오늘도 들물에는 물이안가 배가 그자리에서 돌기만했고
오후 썰물에는 물심이 살아나니 좀 나와 줬는데
진행방향 선수쪽만 나왔습니다..
물때가 살아나면 잘 나올것 같습니다!!
선수쪽 몇장 올려봅니다..
오늘도 열심히 달려보겠습니다!!









※ 갑오징어 (1인 130,000원)
※ ●승선:14명(최대 15명)
●제주도민.왕복 .편도 픽업없음 #12만
->예약란에 픽업신청 같이 넣어주세요
●한림항 출항
새벽출조#출항 06시~06시30분
(전날 오셔야됩니다)
#공항픽업 ( 공항 -> 도두항까지)
●전날 픽업 : 오후7시(지정된 시간외엔 개인이동 하셔야 됩니다)
●전날 픽업은 도두항까지고 다응날 새벽에 도두에서 한림항으로 픽업해 드립니다
●리턴 비행기 : 오후 8시이후로 예매 하세요
●제주공항에서~한림항 버스노선
공항 4번게이트
102번 직행버스 있습니다
●숙소예약시 출항지가 변경될수 있으니 출항일 이삼일 전에 선사 문의후 예약 하십시요
●개인준비물
◾️로드 : 갑오징어 전용대 (8:2 또는 9:1 추천)
◾️릴 : 베이트릴 / 소형전동릴 / 스피닝릴
◾️원줄 : 합사 0.8호 - 1호
◾️채비 : 삼봉에기 및 학꽁치포
◾️봉돌 : 기본 40호(간혹 조류쎄기에따라 50호)
조류가 빠른날 50호.1~2개정도 준비하세요
#낚시대+베이트릴 대여 가능
(채비 준비해오셔야합니다)
●출항 장소 : 한림항
(변경시 안내드립니다)
●입금확인 후 예약확정입니다●
(무조건 입금순)
먼바다 나갈경우
전화연결이 어려울 수 있습니다
문의사항 있으실 경우,
문자 남겨 주시거나
☎️ 선장님직통 :010 3548 3472~
통화가 원활하지않을시 010 3860 3472로 예약문의 주세요!
입금 계좌 수협: 0010 3860 3472:조혜령
*** 제주 에이스호 예약 안내 ***
예약문의 : 010-3548-3472
오시는길 : 제주도 제주시 도공로 2
Comment List
등록된 댓글이 없습니다.